REQUEST A TOUR If you would like to see this home without being there in person, select the "Virtual Tour" option and your agent will contact you to discuss available opportunities.
In-PersonVirtual Tour

$ 99,000
Est. payment /mo
Active
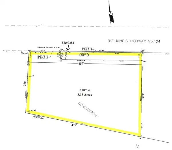
7281A HIGHWAY 124 N/A Magnetawan, ON P0G 1G0
UPDATED:
Key Details
Property Type Vacant Land
Sub Type Vacant Land
Listing Status Active
Purchase Type For Sale
Approx. Sqft < 700
Subdivision Magnetawan
MLS Listing ID X12873646
Annual Tax Amount $436
Tax Year 2026
Property Sub-Type Vacant Land
Property Description
A beautiful, 3.15 acres of privacy in Whitestone/ Dunchurch, located off a year-round municipal road/Highway 124. With quick access to hop on the road to work, schools, shopping, community centre, nursing station, beach, boat, launch, and multiple lakes in the area. Over 450 feet of road frontage. Entrance in, well treed and perched on a Hill to give a fabulous view. Just a short drive or a walk to the town of Dunchurch to go for a swim or keep your boat at the marina and save on waterfront property taxes. This is a great opportunity for you and your family to live, work and play in the cottage country dream and build it the way you dream it! Click on the media arrow for the video.
Location
State ON
County Parry Sound
Area Parry Sound
Rooms
Kitchen 0
Interior
Interior Features None
Fireplace No
Exterior
Pool None
Waterfront Description None
Roof Type Unknown
Road Frontage Year Round Municipal Road
Lot Frontage 456.68
Lot Depth 104.16
Building
New Construction false
Others
ParcelsYN No
Virtual Tour https://teczr-media.aryeo.com/sites/wepoell/unbranded
Listed by RE/MAX Parry Sound Muskoka Realty Ltd
GET MORE INFORMATION
Follow Us





